・伊那市立美篶小学校(1400m)
・伊那市立東部中学校(2500m)
・スーパー Aコープ美すず店 1462m
・コンビニ ファミリーマート伊那上川手店 422m
・ホームセンター コメリハード&グリーン伊那店 357m
・ドラックストア アメリカンドラック伊那美すず店 932m
伊那市街地へは車で約8分、城下町高遠町の市街地、天下第一の桜の名所「高遠城址公園」高遠温泉「さくらの湯」、信州高遠美術館、高遠歴史博物館等は車で約10分です。
加盟店 売地中央アルプスが一望出来る利便性良好な宅地 周りは長閑な田園風景
| 所在地 交通 |
価格 坪単価 |
土地面積(坪数) 私道負担面積 |
種別 引渡条件 |
建蔽率 容積率 |
|---|---|---|---|---|
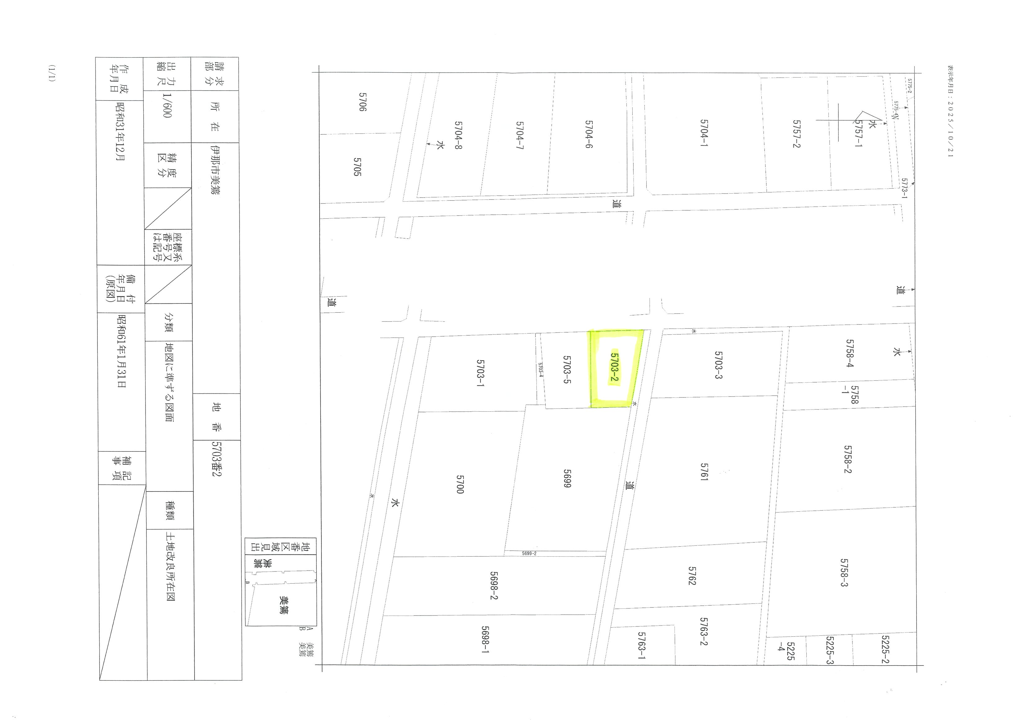
| 長野県伊那市美篶上川手 中央自動車道、伊那インターより車で15分、諏訪インターより車で50分 |
280万円
- |
230.54m²( 69坪 )
-m² |
売地 即時 |
60% 200% |





田舎暮らしセールスポイント!
◆中央アルプスを一望
| 所在地 | 長野県伊那市美篶上川手 |
||
|---|---|---|---|
| 交 通 |
中央自動車道、伊那インターより車で15分、諏訪インターより車で50分 |
||
| 価格 | 280万円
|
種別 | 売地 |
| 坪単価 | - | ||
| その他維持費等 | その他一時金 | ||
| 土地面積 | 230.54m² (公簿) | 土地坪数 | 69坪 |
|---|---|---|---|
| 土地権利 | 所有権 | 私道負担面積 | -m² |
| 地目 | 宅地 | 地勢 | 平坦 |
| 都市計画 | 非線引区域 | 用途地域 | 無指定 |
| 建ぺい率 | 60% | 容積率 | 200% |
| 接道状況 | 角地: 北 3m 公道に 間口19m 接面 / 西 3m 公道に 間口13m 接面 | ||
| セットバック | 国土法届出 | - | |
| 設備・条件 | 名山が望める 里山が望める 買物便利 市街地に近い 近くに温泉 日当り良好 眺望良好 建築条件無 プロパンガス 公営水道 排水下水 トイレ:水洗 駐車場有 | ||
| 引渡/入居時期 | 即時 | 現況 | 更地 |
| 特記事項 | 上水道加入金、下水道受益者負担金不要です。 | ||
| 周辺環境 | コンビニまで約350m スーパーまで約1400m 町の中心まで約3500m 美篶 市役所・役場まで約1400m ドラックストア まで約900m ホームセンター まで約350m | ||
| 備考 | 周りは田園風景と住宅が点在している好立地な場所です。住宅を解体した後の宅地なので即建築可能、生活便も良好です! | ||
| 物件番号 | 31608-0159 | 取引態様 | 仲介 状態:売出中 |
※物件掲載内容と現況に相違がある場合は現況を優先と致します。
最終更新日:2026-01-09 次回更新予定日:2026-04-09
最終更新日:2026-01-09 次回更新予定日:2026-04-09

| 情報提供元 |
![]() | |||
|---|---|---|---|---|
| 所在地 | 長野県伊那市高遠町西高遠1677 | |||
| TEL | 電話でのお問い合わせは 0265-94-3401 ※田舎暮らし物件情報『ビギンズ』を見たとお伝え下さい。 | |||
| 定休日 | 営業時間 | 8:30~18:00 | ||
| 宅地建物取引業免許:長野県知事(12)第2008号 加盟団体:(一社)長野県宅地建物取引業協会, | ||||
スポンサーリンク












